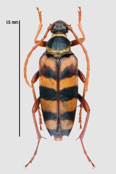
Observation n° 531060 Leptura aurulenta

Informations

Donnée considérée certaine, très probable

Source de la donnée : Terrain
Type de donnée : Publique

Date : 25/08/2024

Date de saisie : 15/09/2024

Localisation

L'Agaissière - Savenay (44)

Observateur(s) (AER)

avatar Robin NOËL

Détail de l'observation

Naturalité : Sauvage
- Adulte ( 1 ). Etat biologique : Observé vivant
Contact : Vu
Prospection : A vue
Statut biologique : Non renseigné
Comportement : Non renseigné
Déterminateur : Robin NOËL
Conservé en collection de référence.
Type détermination : NR.

UUID SINP : 67498379-5cd5-4575-83a0-fbb68144efbe

Photo(s)


Facebook Linkedin email