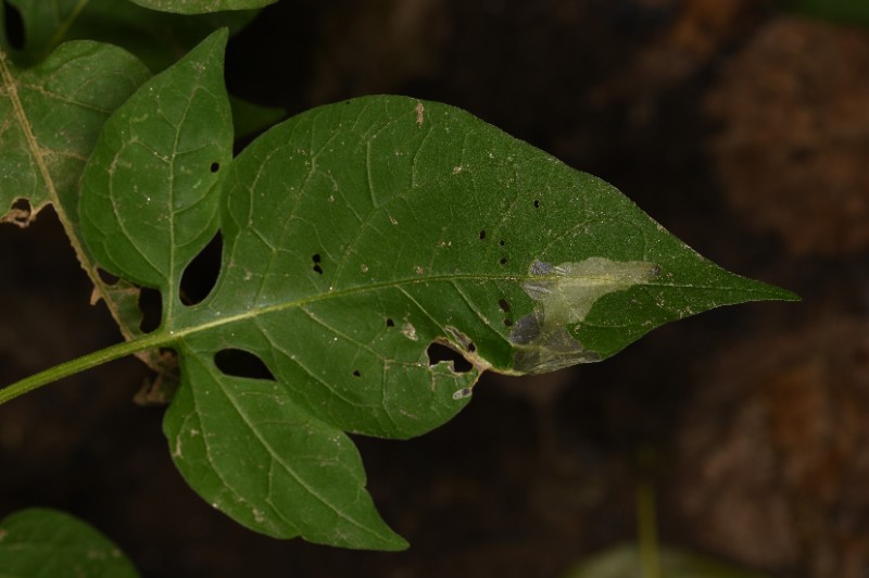
Observation n° 527250 Acrolepia autumnitella

Informations

Donnée considérée certaine, très probable

Source de la donnée : Terrain
Type de donnée : Publique

Date : 20/08/2024

Date de saisie : 20/08/2024

Localisation

Ruisseau de Clermont - Le Cellier (44)

Observateur(s) (Indépendant)

avatar Corentin JEHANNO

Détail de l'observation

Naturalité : Sauvage
- Chenille ( 15 non différencié(s) ). Etat biologique : Observé vivant
Contact : Mine
Prospection : A vue
Statut biologique : Non renseigné
Comportement : Non renseigné
Déterminateur : Corentin JEHANNO
Plante-hôte et/ou nourricière :
- Chenille 15 sur Solanum dulcamara Douce amère

UUID SINP : d1389ca1-f4d6-4d33-85c1-a80f3728c939

Photo(s)


Facebook Linkedin email