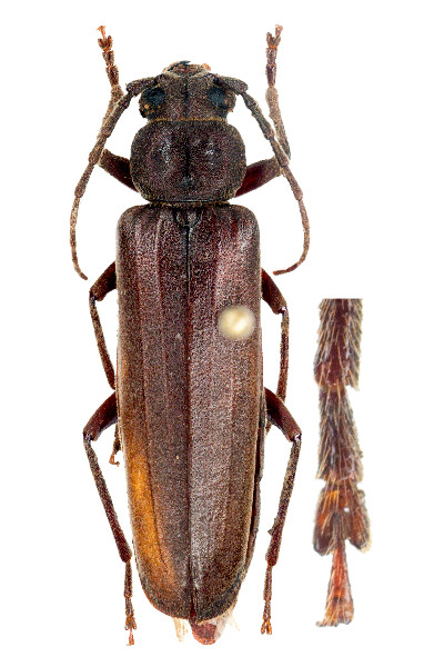
Observation n° 511907 Arhopalus rusticus

Informations

Donnée considérée certaine, très probable

Source de la donnée : Terrain
Type de donnée : Publique

Date : 16/05/2015

Date de saisie : 24/05/2024

Localisation

L'Agaissière - Savenay (44)

Observateur(s) (AER)

avatar Robin NOËL

Détail de l'observation

Naturalité : Sauvage
- Adulte ( 1 ). Etat biologique : Observé vivant
Contact : Vu
Prospection : A vue
Statut biologique : Non renseigné
Comportement : Non renseigné
Déterminateur : Robin NOËL

UUID SINP : a0053535-d535-407f-86b1-15d1cca684fa

Photo(s)


Facebook Linkedin email